La temporada de huracanes 2024 continúa en el Océano Pacífico, luego del huracán John que impactó dos veces en el estado de Guerrero, ahora se formó uno nuevo, se trata del huracán Kristy y aquí te damos más información.
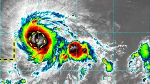
El huracán Kristy se mantiene como huracán categoría 4 en la escala Saffir-Simpson.
¿Dónde se localiza el huracán Kristy hoy 24 de octubre de 2024?
De acuerdo con el último informe del Servicio Meteorológico Nacional, Kristy se localiza a mil 470 km al suroeste de Cabo San Lucas en Baja California Sur con vientos máximos sostenidos de 240 km/h y rachas de hasta 295 km/h.
Te podría interesar: Así se nombra a los huracanes en México
¿Qué estados serán afectados por el huracán Kristy?
Debido a que el huracán Kristy aún como categoría 4 se desplaza hacia el oeste a 28 km/h, su distancia y trayectoria no representa peligro para las costas mexicanas.
Se espera que, por la tarde del viernes 25 de octubre se debilite a huracán categoría 3 y que comience a debilitarse a partir del fin de semana.
Te podría interesar: Así es como se forman los huracanes y cómo se clasifican
